MTDB is a transit development board existing under Chapter 294, Statute of 1975, Section 125000 et seq. of the Public Utilities Code of the State of California. MTDB is charged with the construction and operation of public transit systems within its area of jurisdiction.
The MVE LRT Project closes the gap in San Diego's Regional Rail Plan. The line is an important, nonradial link connecting the growing East County communities with major employment and activity centers along Interstate 8 and within Mission Valley. It also provides a connection between key transit centers in western Mission Valley, greatly improving the overall system productivity. The project includes a station at the "front door" of San Diego State University (SDSU). SDSU has approximately 30,000 students, 5,000 full-time equivalent faculty and staff, and a shortage of parking.
The MVE LRT Project will be 5.8 miles in length, extending from the Mission San Diego Station at Ward Road in the City of San Diego to the Orange Line junction, just east of Baltimore Drive in the City of La Mesa. The MVE LRT Project will include a total of 15 crossings of which 14 will be grade-separated. Appendix A contains a vicinity map that shows the MVE LRT Project segment and all 15 proposed crossings.
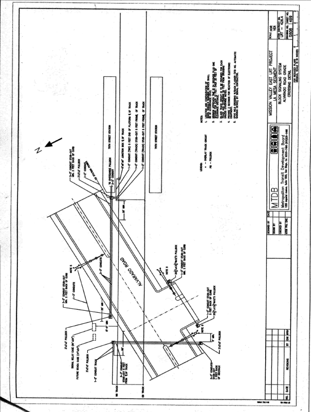
The proposed at-grade crossing is to be located on Alvarado Road immediately west of the 70th Street Station in the City of La Mesa, San Diego County. Appendix A contains a site map of the proposed at-grade crossing and proposed crossing protection consisting of three PUC Standard Number 9 automatic gate-type warning devices. One PUC Standard Number 9 automatic gate-type warning device will be installed on the east and west approach to the crossing, as well as at the exit from the parking lot of the nearby 70th Street Station.
MTDB also request that they be allowed to control grade crossing signals to delay lowering of gates and illumination of flashing lights as an LRV approaches a station stop before entering the crossing. These controls will be installed at the 70th Street Station where the station lies within grade crossing track circuit limits preceding the crossing (near-side stations). The delay, or forestalling, in activation of crossing signals for LRVs stopping at near-side stations will reduce the time the crossings are closed to vehicles and pedestrians.
MTDB seeks approval from the Commission to construct two LRV tracks for the MVE LRT Project and include a total of 15 crossings, 14 of which will be grade-separated, as more fully indicated by plans shown in Appendix A and as described by Appendix B.
MTDB is the lead agency for this project under the California Environmental Quality Act of 1970 (CEQA), as amended, Public Resources (PR) Code Section 21000 et seq. In order to satisfy the CEQA requirements, in June 1998, MTDB prepared a Final Environmental Impact Statement (FEIS) in cooperation with the U.S. Department of Transportation, Federal Transit Administration. On April 13, 1999, MTDB filed a Notice of Determination (NOD) for the MVE LRT Project with the Office of Planning and Research and the County Clerk of San Diego. The NOD stated that the minor modifications to the project did not require supplementing of the FEIS released in June 1998.
The Commission is a responsible agency for this project under CEQA (PR Code Section 21000 et seq.). CEQA requires that the Commission consider the environmental consequences of a project that is subject to its discretionary approval. In particular, to comply with CEQA, a responsible agency must consider the lead agency's Environmental Impact Report or Negative Declaration prior to acting upon or approving the project (CEQA Guideline 15050(b)). The specific activities, which must be conducted by a responsible agency, are contained in CEQA Guideline Section 15096.
The Commission has reviewed the lead agency's environmental documents. This documentation identified several potential environmental impacts associated with the proposed construction project.
Safety, security, transportation and noise are within the scope of the Commission's permitting process. The Commission has reviewed the lead agency's FEIS. With respect to these issues we note that environmental impacts were identified and mitigation measures were adopted to eliminate or substantially reduce to less-than-significant levels, impacts related to safety, transportation and noise. In particular, the FEIS identified four potential safety impacts. The first is an increase in the accident rate involving transit vehicles, as compared to current rates. To mitigate for this potential impact, the FEIS requires implementation of standard safety procedures.
The second potential impact involves public concern related to the proximity of aerial guideways and traction power substations. The adopted mitigation measure requires the project to be grade separated and fenced.
The third safety impact involves the potential for adverse health effects from electromagnetic fields. The adopted mitigation requires standard precautions and design precautions.
The final safety impact involves potential patron injury during emergency evacuations of the LRT system. National Fire Prevention Association guidelines were adopted to mitigate this potential impact.
Noise impacts exceeding FTA criteria were identified at 13 locations. The FEIS adopted mitigations including the construction of soundwalls and/or insulation at each location.
Transportation impacts were identified in relation to either unacceptable LOS, changed intersection geometry or signal phasing at three intersections. The adopted mitigation measures involved local street improvements around each intersection to eliminate or reduce the impacts. In addition, construction would require closure of a 70th Street ramp. This impact would be mitigated by improvements to a second off-ramp from Alvarado Road, plus widening and restriping specific turn lanes around the improved off-ramp at Alvarado Road. Most notably, 14 of the 15 proposed highway-railroad crossings will be grade-separated. The street at the one at-grade crossing will undergo realignment to provide improved visual line-of-sight of the LRV tracks to oncoming motorists.
With respect to the impacts and mitigation measures related to our permitting authority, we find that the lead agency adopted feasible mitigation measures to eliminate or substantially lessen the environmental impacts resulting from construction noise and traffic, as well as from operational noise and traffic of the project.
The site of the proposed project has been inspected by the Commission's Rail Safety and Carriers Division (RSCD) Rail Crossings Engineering Section staff. Staff examined the need for and the safety of the proposed 14 grade-separated crossings and the one at-grade crossing, and recommends that the application be approved.
The application was found to be in compliance with the Commission's filing requirements, including Rules 38 to 41 of the Rules of Practice and Procedure. Site maps of the project are as shown on plans attached to the application and Appendix A.
In Resolution ALJ 176-3074, dated October 25, 2001 and published on the Commission Daily Calendar on October 26, 2001, the Commission preliminarily categorized this application as ratesetting, and preliminarily determined that hearings were not necessary. Since no hearings were held, this preliminary determination remains accurate. The Commission's RSCD staff recommends that this application be granted. Given these developments, a public hearing is not necessary, and it is not necessary to disturb the preliminary determinations made in Resolution ALJ 176-3074.
This is an uncontested matter in which the decision grants the relief requested. Accordingly, pursuant to Public Utilities Code Section 311(g)(2), the otherwise applicable 30-day period for public review and comment is being waived.
1. Notice of the application was published in the Commission Daily Calendar on October 15, 2001. There are no unresolved matters or protests; a public hearing is not necessary.
2. MTDB requests authority, to construct two LRV tracks for the MVE LRT Project in the Cities of San Diego and La Mesa, San Diego County.
3. The MVE LRT Project will be 5.8 miles in length and include a total of 15 crossings, 14 of which will be grade-separated.
4. Public convenience, necessity and safety require construction of the 14 grade-separated crossings and one at-grade crossing, in connection with the construction of the MVE LRT Project, as set forth in Appendices A and B, and as more fully described in the application.
5. MTDB is the lead agency for this project under the CEQA, as amended.
6. MTDB prepared an FEIS in June 1998 that identified several mitigation measures to eliminate or substantially reduce environmental impacts to less-than-significant levels.
7. MTDB filed an NOD on April 13, 1999 with the State Office of Planning and Research, and the County Clerk of San Diego.
8. The Commission is a responsible agency for this project and has reviewed and considered the lead agency's environmental documents.
9. Safety, security, transportation and noise are within the scope of the Commission's permitting process.
1. The Commission finds that for the safety, transportation and noise impacts identified in the FEIS and discussed in this decision, the lead agency adopted feasible mitigation measures to eliminate or substantially lessen the impacts to a less-than-significant level.
2. We adopt the mitigation measures specified in the FEIS and require those as a condition of our approval.
3. The application should be granted as set forth in the following order.
IT IS ORDERED that:
1. San Diego Metropolitan Transit Development Board is authorized to construct two light rail vehicle tracks for the Mission Valley East Light Rail Transit Project in the Cities of San Diego and La Mesa, San Diego County, to include a total of 15 crossings, 14 of which will be grade-separated, as set forth in Appendices A and B, and as more fully described and indicated by text and plans attached to the application.
2. The new public crossings shall be identified as described in Appendix B.
3. The new public at-grade crossing on Alvarado Road shall be protected by three (3) PUC Standard No. 9 Automatic Gate-Type Signals as specified in General Order (GO) 75-C.
4. Clearances shall be in accordance with GO 26-D.
5. Walkways shall conform to GO 118. Walkways adjacent to any trackage subject to rail operations shall be maintained free of obstructions and shall be promptly restored to their original condition in the event of damage during construction.
6. Construction and maintenance costs shall be borne in accordance with an agreement entered into between parties. A copy of the agreement shall be filed by the City of San Diego with the Commission's Rail Safety and Carriers Division prior to commencing construction. Should the parties fail to agree, the Commission will apportion the costs of construction and maintenance by further order.
7. Within 30 days after completion of the work under this order, the City of San Diego shall notify the Commission in writing that the authorized work was completed.
8. This authorization shall expire if not exercised within three years unless time is extended or if the above conditions are not complied with. Authorization may be revoked or modified if public convenience, necessity, or safety so require.
9. The application is granted as set forth above.
10. Application 01-09-044 is closed.
This order becomes effective 30 days from today.
Dated June 27, 2002, at San Francisco, California.
LORETTA M. LYNCH
President
HENRY M. DUQUE
CARL. W. WOOD
GEOFFREY F. BROWN
MICHAEL R. PEEVEY
Commissioners



Summary of Proposed Crossings
Mission Valley East Light Rail Transit Project
CPUC Crossing Number |
Crossing Location and Name |
Grade-separated |
Crossing Protection (GO 75-C) |
81MV-4.72-B |
Ward Road Underpass |
Yes |
NA |
81MV-4.82-B |
Camino Del Rio North Underpass |
Yes |
NA |
81MV-5.285-B |
Fairmont Avenue and Alvarado Canyon Road/Interstate 8 off-ramp Underpass |
Yes |
NA |
81MV-5.575-B |
Alvarado Canyon Road at Grantville Underpass |
Yes |
NA |
81MV-5.62-B |
Interstate 8 at Grantville Underpass |
Yes |
NA |
81MV-6.795-B |
Canyon Crest Drive Underpass |
Yes |
NA |
81MV-8.09-B |
Alvarado Road at San Diego State University Underpass |
Yes |
NA |
81MV-9.095-A |
70th Street Overpass |
Yes |
NA |
81MV-9.155-A |
Interstate 8 off-/on-ramps Overpass |
Yes |
NA |
81MV-9.295 |
Alvarado Road at 70th Street Station, at-grade |
No |
3 CPUC Std. No. 9 Automatic Gate-Type Signals. |
81MV-9.95-B |
Comanche Drive Underpass |
Yes |
NA |
81MV-9.995-B |
Alvarado Road West Underpass |
Yes |
NA |
81MV-10.06-B |
Alvarado Road East Underpass |
Yes |
NA |
81MV-10.175-B |
Interstate 8 La Mesa Underpass |
Yes |
NA |
81MV-10.25-B |
Baltimore Drive Underpass |
Yes |
NA |