Richard Clark is the assigned Examiner in this proceeding.
Findings of Fact
1. The Commission published Notice of the Application in the Commission Daily Calendar on February 7, 2005. There are no unresolved matters or protests; a public hearing is not necessary.
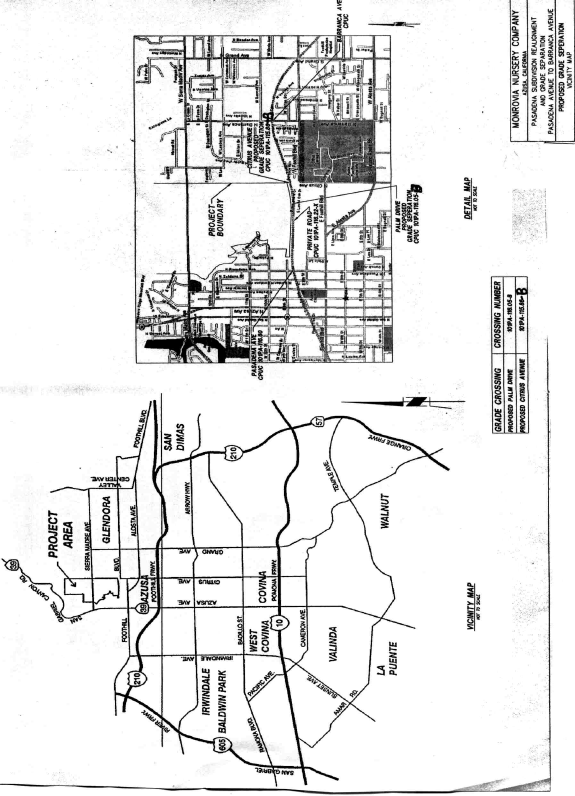
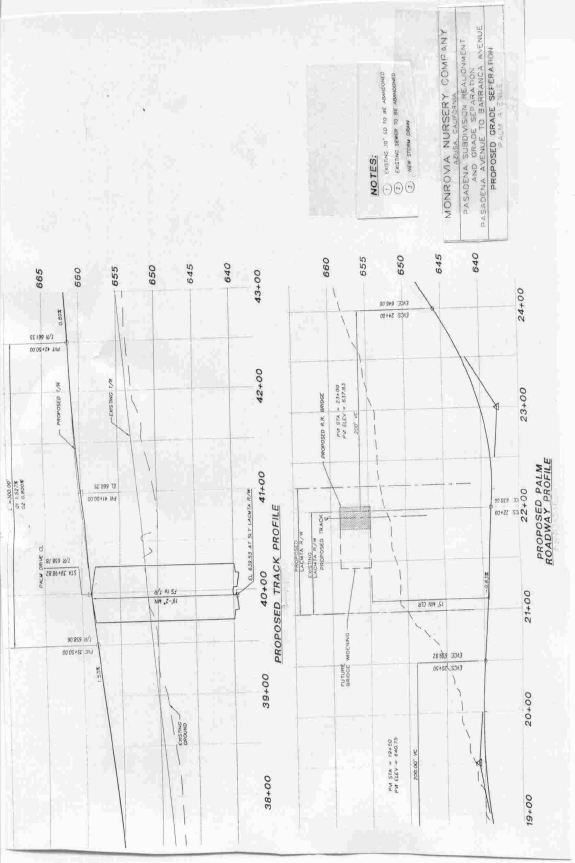
2. The Cities request authority, under Public Utilities Code Sections 1201-1205, to close and remove the North Rockvale Avenue and Palm Drive private crossings in Azusa, to construct the Palm Drive grade separation in Azusa, and to construct the Citrus Avenue grade separation in Azusa and Glendora, Los Angeles County.
3. Public convenience, necessity, and safety require the closure and the removal of the private crossings and the construction of the grade separations.
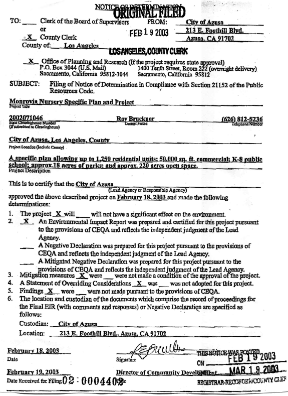
4. The City of Azusa is the lead agency for this project under CEQA, as amended.
5. In approving the project on February 18, 2003, the City of Azusa adopted the Final EIR for the Monrovia Nursery Specific Plan and Project (SCH No. 2002071046) and found that "The project will have a significant effect on the environment." Mitigation measures were made a condition of the approval of the project. Findings were made pursuant to the provisions of CEQA. An SOC was adopted for this project.
6. The Commission is a responsible agency for this project and has reviewed and considered the lead agency's Draft EIR, NOD, and SOC. We find these documents to be adequate for our decision-making purposes.
7. Safety, transportation and noise are within the scope of the Commission's permitting process.
8. For the approved project, the lead agency identified environmental impacts related to transportation/traffic and noise.
9. The Cities filed a Supplement with the Commission's Docket Office on April 29, 2005, to correct minor errors and to clarify the relationship among MTA, BNSF, and the Authority.
Conclusions of Law
1. With respect to significant impacts from transportation/traffic and noise, we find that the lead agency adopted feasible mitigation measures where possible to substantially lessen the environmental impacts to a less-than-significant level. We adopt these mitigation measures for purposes of our approval. With respect to the significant and unavoidable environmental impacts, we find that the City of Azusa enumerated several significant benefits to justify project approval. Therefore, we also adopt the SOC for purposes of our approval.
2. The Application is uncontested and a public hearing is not necessary.
3. The Application should be granted as set forth in the following order.
ORDER
IT IS ORDERED that:
1. The Cities of Azusa and Glendora (Cities) are authorized to construct the Palm Drive grade-separated highway-rail crossing (grade separation), identified as CPUC Crossing No. 101PA-116.05-B, in Azusa, and the Citrus Avenue grade separation, identified as CPUC Crossing No. 101PA-115.86-B, in Azusa and Glendora, Los Angeles County, with each grade separation roadway under a railroad bridge structure consisting of one BNSF Railway Company (BNSF) track and adequate cross-sectional width for the construction of two additional proposed tracks, at the locations and substantially as shown by the plans attached to the Application and Appendix B attached to this order.
2. Prior to the commencement of construction of the Palm Drive grade separation, the City of Azusa shall permanently close and physically remove the existing Palm Drive private at-grade highway-rail crossing (private crossing), identified as CPUC Crossing No. 101PA-116.05-X.
3. The City of Azusa is authorized to close the existing North Rockvale Avenue private crossing, identified as CPUC Crossing No. 101PA-116.22-X. Upon completion of the Palm Drive grade separation and its opening to vehicular traffic, the City of Azusa shall permanently close and physically remove the North Rockvale Avenue private crossing.
4. The Cities, BNSF, Los Angeles to Pasadena Metro Blue Line Construction Authority, and Los Angeles County Metropolitan Transportation Authority (MTA) (parties) shall bear construction and maintenance costs in accordance with an agreement between the parties. Should the parties fail to agree, the Commission will apportion the cost of construction and maintenance by further order.
5. Within 30 days after completion of the work under this order, MTA shall notify the Commission's Consumer Protection and Safety Division - Rail Crossings Engineering Section in writing, by submitting a completed standard Commission Form G (Report of Changes at Highway Grade Crossings and Separations), of the completion of the authorized work.
6. This authorization shall expire if not exercised within three years unless the Commission extends the time or if the parties do not comply with the above conditions. The Commission may revoke or modify authorization if public convenience, necessity or safety so require.
7. The Commission grants the Application as set forth above.
8. Application 05-02-002 is closed.
This order becomes effective 30 days from today.
Dated August 25, 2005, at San Francisco, California.
MICHAEL R. PEEVEY
President
GEOFFREY F. BROWN
SUSAN P. KENNEDY
DIAN M. GRUENEICH
JOHN A. BOHN
Commissioners
A P P E N D I X A
ENVIRONMENTAL DOCUMENTS

A P P E N D I X B
PLANS




