Richard Clark is the assigned Examiner in this proceeding.
Findings of Fact
1. The Commission published Notice of the Application in the Commission Daily Calendar on September 10, 2004. There are no unresolved matters or protests; a public hearing is not necessary.
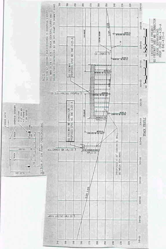
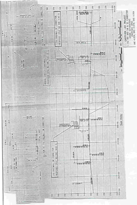
2. LACMTA requests authority, under Public Utilities Code Sections 1201-1205, to construct five new grade separations by constructing, within the median of Third Street, two ELRL tracks beneath and within the existing structures for SR-60 Freeway westbound connector, SR-60 Freeway, I-710 Freeway southwest connector, and I-710 Freeway southeast connector and on one existing bridge structure above I-710 Freeway, in Los Angeles County.
3. Public convenience, necessity, and safety require construction of the proposed grade separations.
4. LACMTA is the lead agency for this project under CEQA, as amended.
5. In approving the project on February 28, 2002, the LACMTA Board of Directors adopted the Final SEIS/SEIR for the Los Angeles Eastside Corridor (SCH No. 1999081061) and found that "The project will have a significant effect on the environment." Mitigation measures were made a condition of the approval of the project. Findings were made pursuant to the provisions of CEQA. An SOC was adopted for this project.
6. The Commission is a responsible agency for this project and has reviewed and considered the lead agency's Final SEIS/SEIR, NOD, and SOC. We find these documents to be adequate for our decision-making purposes.
7. Safety, transportation and noise are within the scope of the Commission's permitting process.
8. For the approved project, the lead agency identified environmental impacts related to safety, transportation and noise.
Conclusions of Law
1. With respect to significant impacts from safety, transportation and noise, we find that the lead agency adopted feasible mitigation measures where possible to substantially lessen the environmental impacts to a less-than-significant level. We adopt these mitigation measures for purposes of our approval. With respect to the significant and unavoidable environmental impacts, we find that LACMTA enumerated several significant benefits to justify project approval. Therefore, we also adopt the SOC for purposes of our approval.
2. The Application is uncontested and a public hearing is not necessary.
3. The Application should be granted as set forth in the following order.
ORDER
IT IS ORDERED that:
1. Los Angeles County Metropolitan Transportation Authority (LACMTA) is authorized to construct, as part of LACMTA's Eastside Corridor Light Rail Transit Line (ELRL) project, five new grade-separated highway-rail crossings. LACMTA will construct two new ELRL tracks within the median of Third Street beneath and within the existing structures of State Route (SR) 60 Freeway westbound connector, SR-60 Freeway, Interstate (I) 710 Freeway southwest connector, and I-710 Freeway southeast connector and on an existing bridge structure above I-710 Freeway, in Los Angeles County, at the locations listed in this order and substantially as described and shown by plans attached to the Application and Appendix B attached to this order.
2. Clearances and walkways shall conform to all applicable Commission General Orders and the Manual on Uniform Traffic Control Devices as amended by the California Supplement.
3. In accordance with two Master Cooperative Agreements, State of California Department of Transportation and County of Los Angeles (County) separately and LACMTA shall bear construction and design costs of the project. LACMTA shall bear the sole cost and expense to construct and maintain the tracks beneath the existing freeway and connector structures and upon the existing bridge structure above the I-710 Freeway. The County shall bear the costs associated with the maintenance of the barriers along Third Street that prevent motor vehicles from accessing the tracks.
4. Within 30 days after completion of the work under this order, LACMTA shall notify the Commission's Consumer Protection and Safety Division - Rail Crossings Engineering Section in writing, by submitting a completed standard Commission Form G (Report of Changes at Highway Grade Crossings and Separations), of the completion of the authorized work.
5. This authorization shall expire if not exercised within three years unless the Commission extends the time or if the parties do not comply with the above conditions. The Commission may revoke or modify authorization if public convenience, necessity or safety so require.
6. The Commission grants the Application as set forth above.
7. Application 04-09-008 is closed.
This order becomes effective 30 days from today.
Dated September 22, 2005, at San Francisco, California.
MICHAEL R. PEEVEY
President
GEOFFREY F. BROWN
SUSAN P. KENNEDY
DIAN M. GRUENEICH
JOHN A. BOHN
Commissioners
A P P E N D I X A
ENVIRONMENTAL DOCUMENTS




A P P E N D I X B
PLANS






