Conclusion of Law

The application should be granted as set forth in the following order.

ORDER

IT IS ORDERED that:

1. North San Diego County Transit Development Board (NCTD) is authorized to install two PUC Standard No. 8 Flashing light type signals as specified in General Order (GO) 75-C, with low-tone bells and baffles at the existing in-station pedestrian at-grade crossings at the 1) Carlsbad Village Commuter Rail Station, 2) Carlsbad Poinsettia Rail Station and 3) Encinitas Commuter Rail Station all within San Diego County, as set forth in Appendices A, B, and as more fully described and indicated by text and plans attached to the applications.

2. NCTD is authorized to install two PUC Standard No. 8 Flashing light type signals (GO 75-C), with low-tone bells and replace the existing pavement with concrete crossing material at the existing in-station pedestrian at-grade crossing at the Sorrento Valley Commuter Rail Station in the City of San Diego, San Diego County.

3. NCTD is also authorized to construct a new in-station pedestrian at-grade crossing with two PUC Standard No. 8 Flashing light type signals (GO 75-C), with low-tone bells and concrete crossing material at the Sorrento Valley Commuter Rail Station in the City of San Diego, San Diego County.

4. The Crossings shall be identified as indicated in Appendix B.

5. Construction and maintenance of the crossings shall be in accordance with the provisions of GO 72-B and GO 75-C.

6. Construction and maintenance costs shall be borne in accordance with an agreement entered into between parties. A copy of the agreement shall be filed by NCTD with the Commission's Rail Safety and Carriers Division prior to commencing construction.

7. Within 30 days after completion of the work under this order, NCTD shall notify the Commission in writing that the authorized work was completed.

8. This authorization shall expire if not exercised within two years unless time is extended or if the above conditions are not complied with. Authorization may be revoked or modified if public convenience, necessity, or safety so require.

The applications are granted as set forth above.

Application (A.)01-05-005, (A.)01-05-006, (A.)01-05-007, (A.)01-05-008

are closed.

This order is effective 30 days from today.

Dated ________________, at San Francisco, California.

APPENDIX B

As part of a project to enhance safety of existing concrete in-station pedestrian at-grade crossings, The North San Diego County Transit Development Board (NCTD) proposes to install automatic signal warning devices at various commuter rail stations in the cities of Carlsbad, Encinitas and San Diego, all within San Diego County. NCTD requests Commission authority in Applications 01-05-005, 01-05-006, 01-05-007 and 01-05-008. Due to noise concerns raised by communities at some of the station locations, NCTD proposes to use low-tone bells and baffles on the automatic signal warning devices at certain stations to direct sound away from nearby residences. The proposed low-tone bells will meet or exceed the 75-decibel requirements of State and Federal regulations. Public safety requires that the in-station pedestrian at-grade crossings be protected, as stated in the applications and more particularly as set forth below:

1. The Carlsbad Village Commuter Rail Station is located in downtown Carlsbad in a predominately commercial area. The existing in-station pedestrian at-grade crossing is located at milepost 229.15, approximately 300 feet east of the public grade crossing at Grand Avenue Crossing No. 106-229.20, in the City of Carlsbad. Due to the proximity of a neighboring residential community to the station, NCTD proposes to install two PUC Standard No. 8 Flashing light type signals as specified in GO 75-C, with low-tone bells and baffles to direct sound away from the nearby residents. The crossing shall be identified as 106-229.15-D.

2. The Carlsbad Poinsettia Rail Station is located in the City of Carlsbad in a mixed residential/commercial area. There are two in-station pedestrian at-grade crossings. The northern pedestrian crossing is located at milepost 233.18 and the southern pedestrian crossing is located at milepost 233.25. The next public at-grade crossing to the north of the Carlsbad Poinsettia station is Cannon Road in the City of Carlsbad Crossing No. 106-231.40, a distance of approximately 1.6 miles. The next public at-grade crossing to the south is Leucadia Boulevard in the City of Encinitas Crossing No. 106-236.50, a distance of approximately 3.5 miles.

Due to noise concerns raised by residents of the Lanakai Lanes Mobile Home Park, a neighboring community, NCTD proposes to install two PUC Standard No. 8 Flashing light type signals (GO 75-C) with low-tone bells and baffles to direct the noise away from the park. The low-tone bells with baffles were demonstrated to residents of the mobile home park on October 7, 2000 and met with approval. The northern crossing shall be identified as 106-233.18 -D and the southern crossing as 106-233.25-D.

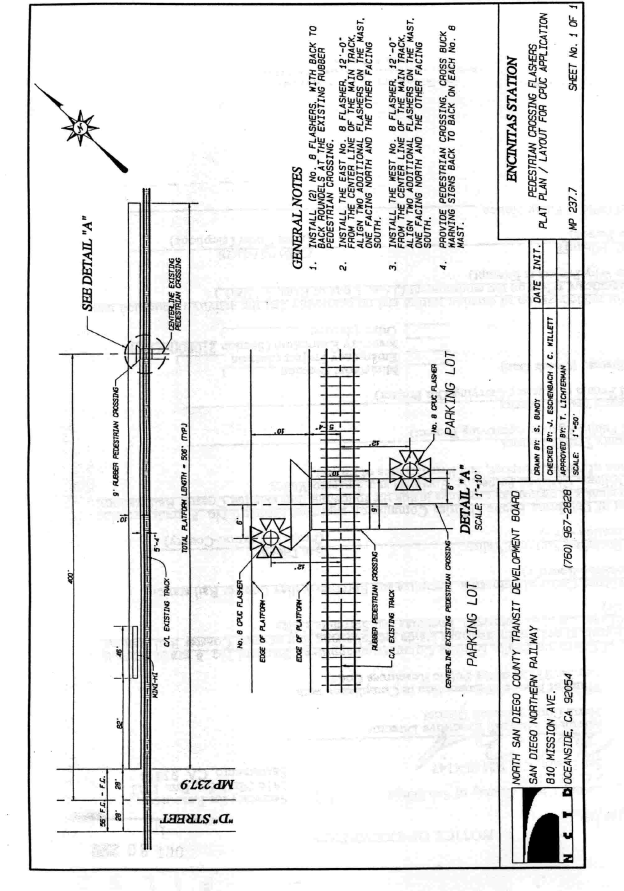
3. The Encinitas Commuter Rail Station is located in downtown Encinitas in a predominantly commercial area. However, there is a large condominium complex approximately 150 feet east across the street from the station. There is one in-station pedestrian at-grade crossing at this station located at milepost 237.80. The next public at-grade crossing to the north is Leucadia Boulevard in the City of Encinitas Crossing No. 106-236.50, a distance of approximately 1.4 miles. The next public at-grade crossing to the south is "D" Street in the City of Encinitas Crossing No. 106-237.90, a distance of approximately 300 feet.

Due to noise concerns raised by residents of the condominium complex across the street from the station, NCTD proposes to install two PUC Standard No. 8 Flashing light type signals (GO 75-C) with low-tone bells and baffles to direct the noise away from the condominium complex. The low-tone bells with baffles were demonstrated to residents of the condominium complex on November 9, 2000 and met with approval. The crossing shall be identified as 106-237.80-D.

In addition, NCTD requests Commission authority, in Application 01-05-007, to deviate from GO 75-C and have the sounding of the automatic warning device low-tone bells stop once the train has entered the Encinitas Commuter Rail Station and occupied the in-station pedestrian at-grade crossing. The pedestrian crossing is the only crossing in the Encinitas station, and when a commuter train has stopped at the station, it occupies the crossing and prevents use of it by pedestrians. NCTD believes that the continued sounding of the automatic warning device bells creates unnecessary and excessive noise.

4. The Sorrento Valley Commuter Rail Station is located in the center of a large industrial area, alongside Sorrento Valley Road and under an Interstate 5 Freeway overpass in the City of San Diego. There are no adjacent residential communities that would be affected by the proposed project.

There is one existing in-station pedestrian at-grade crossing at this station located on the southern end of the station at milepost 248.96. NCTD proposes to install two PUC Standard No. 8 Flashing light type signals (GO 75-C) with low-tone bells, and replace the existing pavement with concrete crossing material. NCTD also proposes to construct an additional in-station pedestrian at-grade crossing with two PUC Standard No. 8 Flashing light type signals (GO 75-C), with low-tone bells and concrete crossing material located on the northern end of the station at milepost 248.91. The next public at-grade crossing to the north is Coast Boulevard in the City of Del Mar Crossing No. 106-244.10, a distance of approximately 5 miles. The next public at-grade crossing to the south is Sorrento Valley Boulevard in the City of San Diego Crossing No. 106-249.10, a distance of approximately 0.20 miles. The northern crossing shall be identified as 106-248.91 -D and the southern crossing as 106-248.96-D.

The table on page 4 lists NCTD's proposed crossing improvements at each Commuter Rail Station.

Summary of Proposed Work

Application No.

Location

Proposed Work

CPUC Crossing Number

Crossing Protection

G.O. 75 - C

01-05-005

Carlsbad Village Commuter Station

City of Carlsbad.

MP 229.15.

Install automatic warning signals at one (1) existing pedestrian crossing.

106-229.15-D

2 - Standard No. 8 Flashing Light Signals

01-05-006

Carlsbad Poinsettia

Rail Station

City of Carlsbad.

MP 233.18 and 233.25.

Install automatic warning signals at two (2) existing pedestrian crossings.

106-233.18-D (northern crossing),

106-233.25-D (southern crossing).

2 - Standard No. 8 Flashing Light Signals

01-05-007

Encinitas Commuter

Rail Station

City of Encinitas.

MP 237.80.

Install automatic warning signals at one (1) existing pedestrian crossing.

106-237.80-D

2 - Standard No. 8 Flashing Light Signals

01-05-008

Sorrento Valley Commuter Rail Station

City of San Diego.

MP 248.91 and MP 248.96.

Construct new pedestrian crossing. Install automatic warning signals at one (1) existing and one (1) new pedestrian crossing

106-248.91 (new northern crossing),

106-248.96-D (southern crossing).

2 - Standard No. 8 Flashing Light Signals

Previous PageGo To First Page